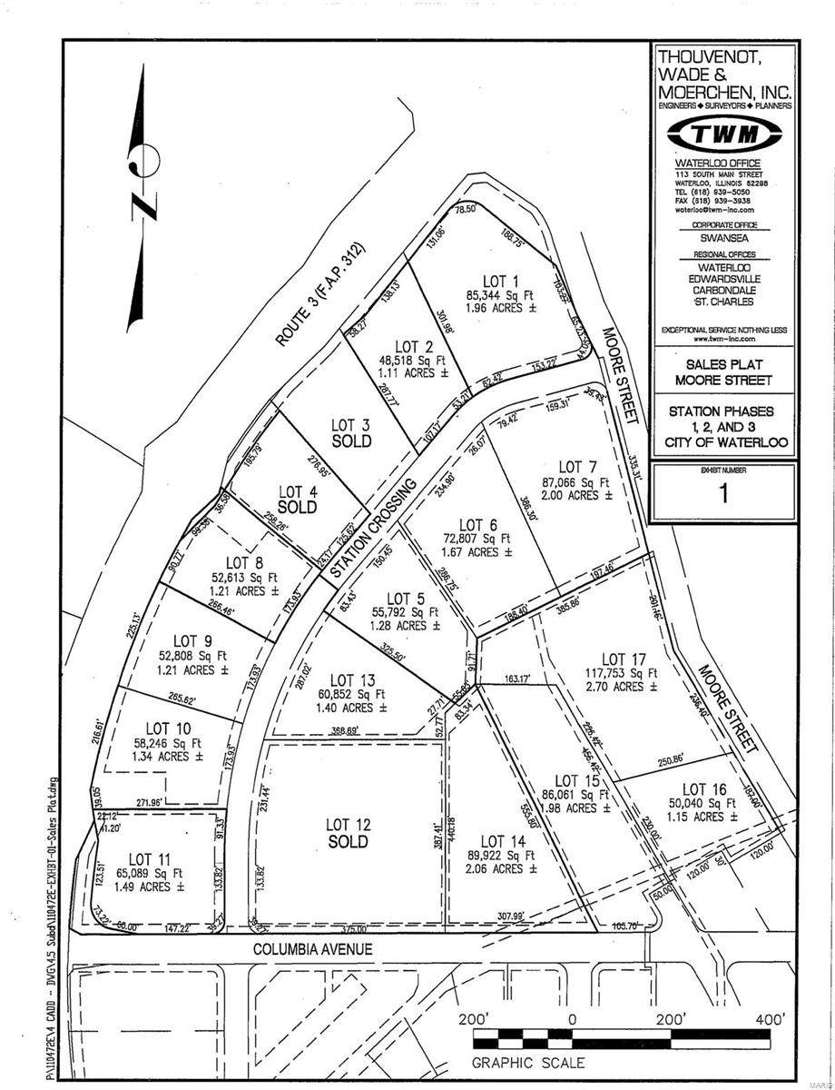
Description
12 Commercial Lots available, 6 along IL Route 3 with 2017 IDOT traffic count of 14,700+. Zoned B-3 Central Business. All utilities available along Station Crossing or Columbia Ave. Tap-in fees based on actual service requested. Location: City
-
0BEDS
-
2.06ACRES
-
0BATHS
-
01/2 BATHS
School Ratings & Info
Description
12 Commercial Lots available, 6 along IL Route 3 with 2017 IDOT traffic count of 14,700+. Zoned B-3 Central Business. All utilities available along Station Crossing or Columbia Ave. Tap-in fees based on actual service requested. Location: City
Listing information © 2025 Mid America Regional Information Systems, Inc. Information from third parties deemed reliable but not verified. Data last update 2025-11-14T23:39:22.707.
Hartmann Realtors Inc.: (618) 344-7900

Listing provided courtesy of Incite Realty: 618-7196674. Listing information © 2025 Mid America Regional Information Systems, Inc.